Bahnhof Simmering I

Allgemeines
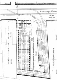
- Standort: 11., Simmeringer Hauptstraße 30-32.
Geschichte
Der an der Simmeringer Hauptstraße zwischen der Dampfmühlgasse und der Geystraße etwa gegenüber der Molitorgasse gelegene Bahnhof wurde von der WT errichtet und am 13. Juni 1874 in Betrieb genommen. Die elektrische Betriebsaufnahme erfolgte am 3. Juli 1901 mit der Elektrifizierung des Abschnitts Rennweg ab Landstraßer Hauptstraße - Simmeringer Hauptstraße bis Molitorgasse. Dabei wurden nur das stadtnächste der insgesamt fünf Hallengleise elektrifiziert. Bald nach der elektrischen Betriebsaufnahme der weiteren Strecke in der Simmeringer Hauptstraße bis Zentralfriedhof, II. Tor am 16. Oktober 1901 wurde der Bahnhof geschlossen und der städtischen Straßenreinigung zur weiteren Nutzung übergeben. Das Areal, auf dem noch bis Anfang der Achtzigerjahre des vorigen Jahrhunderts die ehemaligen Stallungen zu erkennen waren und das von einem bei Remisen üblichen Gitter begrenzt war, wurde von der Magistratsabteilung 48 als Lagerplatz für Streumaterialen genutzt, ehe eine Wohnhausanlage der Gemeinde Wien auf dem Gelände errichtet wurde.
zurück zu: Alle Bahnhöfe